Please use address details from sale deed for correct results

Taluk

Hobli
Village
View All

Disclaimer: The information provided on this link is based solely on public data available on the BBMP website. The information has not be modified or altered in any manner and does not contain any opinion or views of IIMB or its Management or employees. Please seek legal opinion to validate this information before you act upon it.

Is your property on a Rajakaluve?

Here is a way to find out. BBMP has notified properties with survey numbers that are encroaching on BBMP website. Our portal makes it easy to access these documents and give a summary view. In addition, we give indication of possible notification from BBMP in future based on documents collected from Land Records Website. Use the drop down menu on the left to select the (taluk, hobli, village) combination for your property. A list of all affected survey numbers will be displayed below with links to relevant documents.
Based on BBMP data provided on: 17th Dec 2016

Colour Legend

---On a Rajakaluve & notified as encroaching---
Your survey has been notified by BBMP for encroachment.

---On a Rajakaluve but not yet notified as encroaching---
Your survey has not been notified by BBMP. However, as per Revenue Department, rajakaluve passes through your survey.

---Near Rajakaluve but status is unclear---
Your survey is mentioned either in the BBMP or Revenue Department documents but it is not clear that you are encroaching.

---Listed as Non-Encroaching---
Your survey number is clearly mentioned as NOT encroaching in BBMP / Revenue Dept. document

18501 - Chikkasandra Village

(Bangalore North Taluk, Yashavantapura 1 Hobli)

ಚಿಕ್ಕಸಂದ್ರ ಗ್ರಾಮ

(ಬೆಂಗಳೂರು ಉತ್ತರ ತಾಲ್ಲೂಕು, ಯಶವಂತಪುರ ಹೋಬಳಿ)

Survey Number Encroaching as per BBMP Notification Encroaching as per Revenue Dept. Document Details
2 yes yes View
10 yes yes View
15 yes yes View
16 yes yes View
21 yes yes View
23 yes yes View
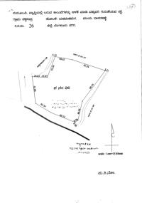
26 yes yes View
27 yes yes View
28 yes yes View
32 yes yes View
33 yes yes View
34 yes yes View
48 yes yes View
56 yes yes View
22 no data no View
36 no data no View
37 no data no View
38 no data no View
45 no data no View
46 no data no View
47 no data no View
All others no data Not in the Rajakaluve folder published by Revenue Department View

Specific Files for Survey 26
in Chikkasandra

Download All0.35 MB

Revenue Dept.
Revenue Dept.

Common files for all surveys
in Chikkasandra

Download All20.91 MB

Revenue Dept.
Revenue Dept.
Revenue Dept.
Revenue Dept.
Revenue Dept.
Revenue Dept.

Locate your property on an interactive map by visiting mapshalli.org

Note: By clicking the link above you will be leaving IIMB-RERI portal and visiting a third-party site.

Thank you for submitting your comment!